本文
「道の駅こうのす」の整備を進めています
「道の駅こうのす」の整備を進めています
農業をはじめとした市内産業の振興や地方創生の拠点として、国道17号熊谷バイパスの沿道西側に道の駅の整備を進めています。
道の駅は、道路利用者のための休憩機能、来訪者のための情報発信機能、活力ある地域づくりを行うための地域連携機能を併せ持つ施設です。
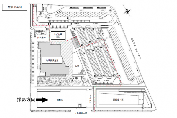
道の駅の地域振興施設内には、農産物や加工品などの直売所や飲食施設・キッズスペース等を整備する計画となっており、今後、設計及び工事を進めていきます。
計画地

進捗状況
11月から盛土工事が始まりました。
2月末現在、市の所管する整備部分の盛土工事はほぼ完了し、国の所管する整備部分の工事が始まりました。

現地写真11月29日撮影

現地写真2月14日撮影
○令和8年1月(令和8年1月29日撮影)

調整池を掘る前に、土留めする為に鋼矢板を打設しています。
鋼矢板同士を溶接して、鋼矢板を長くしています。
○令和8年2月(令和8年2月27日撮影)

周辺地盤の安全確保の為、鋼矢板による土留め工を実施しています。
地図の読み込みに関する問題が発生したとき<外部リンク>
